 |
 |
 |
 |
 |
 |
 |
 |
|
|
|
 |
Die Beifuß-Ambroisie ist nicht leicht zu erkennen, insbesondere wenn sie nicht blüht. Hier einige Pflanzen-Arten, mit denen sie häufig verwechselt wird.
|
 |
|
|
|
 |
Sehr ähnliche ist die nah verwandte Stauden-Ambrosie (Ambrosia coronopifolia). Die Art ist im Unterschied zur der Beifuß-Ambrosie mehrjährig und bildet horizontal verlaufende Wurzeln und Wurzelsprosse. Diese Wuchsform wird beim Rausreißen der Pflanzen deutlich: die Wurzeln verbleiben zum größten Teil im Boden. Ihre Sprosslänge ist meist kleiner. Die Blätter sind in der Regel weniger stark gefiedert (einfach fiederschnittig) und deutlich stärker behaart. Die Pollen sind ebenso allergen wie die der Beifuß-Ambrosie. Eine Bekämpfung größerer Bestände dieser Art ist daher gleichfalls angeraten.
|
 |
|
|
|
|
 |
Am häufigsten wird die Beifuß-Ambrosie (Ambrosia artemisiifolia) mit dem Gemeinen Beifuß (Artemisia vulgaris) aus der gleichen Familie der Korbblütler verwechselt. Ähnlichkeiten bestehen im Blattschnitt und dem äußeren Erscheinungsbild der Pflanze. Die in einer Rispe (statt ährenartiger Traube) angeordneten Blütenstände und die weißlich-grauen (nicht schirmartigen und auch nicht nickenden) Blütenköpfchen sind aber deutlich unterschiedlich aufgebaut.
|
 |
|
|
|
|
 |
Ähnlichkeiten bestehen in der Gestalt der Blätter, die aber beim Beifuß unterseits weißfilzig sind (bei Ambrosia grün). Die Ähnlichkeit in der Blattgestalt fand ihren Ausdruck in der wissenschaftlichen Namengebung der Beifuß-Ambrosie: "artemisiifolia" = beifußblättrig. Die Blütezeit deckt sich in weiten Teilen mit der der Beifuß-Ambrosie. Auch die Pollen des Gemeinen Beifuß sind ein häufiger und bekannter Auslöser allergischer Reaktionen.
|
 |
|
|
|
|
 |
Das Foto zeigt die weißfilzige Blattunterseite des Gemeinen Beifuß (Artemisia vulgaris).
|
 |
|
|
|
|
 |
Dem Gemeinen Beifuß ähnlich ist der Wermut (Artemisia absinthium), der aber beiderseits weißfilzig behaarte Blätter hat und stark aromatisch riecht. Der Wermut hat sich in den letzten Jahren in wärmebegüstigten Tieflagen stark ausgebreitet.
|
 |
|
|
|
|
 |
Der sehr häufige, zur Familie der Gänsefußgewächse zählende Weiße Gänsefuß (Chenopodium album) ähnelt in seinem äußeren Erscheinungsbild der Beifuß-Ambrosie. Der wesentliche Unterschied sind aber dessen ungeteilten Blätter (siehe nächstes Bild). Auch der Bau des Blütenstandes weicht erheblich von der Beifuß-Ambrosie ab. Weitere ähnliche Pflanzen mit ungeteilten Blättern sind die Melden (Atriplex spec.).
|
 |
|
|
|
|
 |
Der Weiße Gänsefuß (Chenopodium album) hat ungeteilte Blätter. Die Beifuß-Ambrosie hat im Unterschied dazu fiederschnittige Blätter. Blatt der Beifuß-Ambrosie
|
 |
|
|
|
|
 |
Der zur Familie der Amarantgewächse zählende Grünährige Amarant (Amaranthus powellii) ähnelt in seinem äußeren Erscheinungsbild der Beifuß-Ambrosie. Der wesentliche Unterschied sind aber dessen ungeteilten Blätter. Auch der Bau des Blütenstandes weicht erheblich von der Beifuß-Ambrosie ab. Dem grünährigen Amarant sehr ähnlich ist der noch weiter verbreitete Rauhaarige Amarant (Amaranthus retroflexus).
|
 |
|
|
|
|
 |
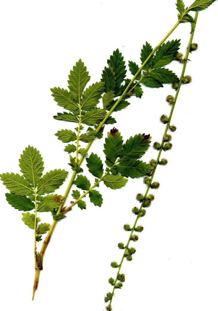
Der bis zu 100 cm hohe Odermennig (Agrimonia eupatoria) zählt zur Familie der Rosengewächse. Die typisch unterbrochen gefiederte Blätter unterscheiden sich deutlich von denen der Beifuß-Ambrosie. Von Juni bis September erscheinen gelbe Blüten (Foto mit Blüten). Die Beifuß-Ambrosia hat im Unterschied dazu keine sichtbaren Blütenblätter. Ähnlich wie bei der Ambrosie sind die Blüten in langgestreckten, ährenartigen Traube angeordnet.
|
 |
|
|
|
|
 |
Vergrößerung der Früchte des Odermennig (Agrimonia eupatoria). Es sind Klettfrüchte, die sich im Fell der Tiere festhaken können. Die Früchte der Beifuß-Ambrosie sehen gänzlich anders aus. Früchte
|
 |
|
|
|
|
 |
Die Färber-Resede (Reseda luteola) gehört zur Familie der Resedagewächse (Resedaceae). Wesentlicher Unterschied zur Beifuß-Ambrosie ist die Gestalt der Blätter, die bei der Färber-Resede ungeteilt ist. Blatt der Beifuß-AmbrosieÄhnlich wie bei der Ambrosie sind die Blüten in langgestreckten, ährenartigen Traube angeordnet. Im Unterschied zu Beifuß-Ambrosie hat die Resede Blütenblätter, die aber recht unscheinbar sind. Ähnlich der Färber-Resede ist die Gelbe Resede (Reseda lutea), die im Unterschied gefederte Blätter aufweist, die aber im Blattschnitt deutlich von der Beifuß-Ambrosie abweichen.
|
 |
|
|
|
|
 |
Auschnitt de Blüten/Fruchtstandes der Färber-Resede (Reseda luteola). Aus den Blüten bilden sich beutelförmige, einfächerige Kapselfrüchte in denen sich die Samen befinden. Die Früchte der Beifuß-Ambrosie sehen gänzlich anders aus. Früchte
|
 |
|
|
|
|
 |
Die zwei- bis dreifach gefiederten Blätter der zur Familie der Doldenblütler gehörenden Hundspetersilie (Aethusa cynapium) haben Ähnlichkeit mit denen der Beifuß-Ambrosie. Im Unterschied zur Beifuß-Ambrosie glänzen die Blätter auf der Oberseite. Deutlich unterschiedlich sind der Blütenstands-Typ. Wie bei allen Doldenblütler sind die Blüten in Dolden angeordnet. Innerhalb der Familie der Doldenblütler gibt es mehrere weit verbreitete Arten, die in ihrer Blattgestalt der Beifuß-Ambrosie ähnlich sind, z.B. Wiesenkerbel oder Taumel-Kälberkropf,
|
 |
|
|
|
|
 |
Blatt der Hundspetersilie (Aethusa cynapium). Im Unterschied zur Beifuß-Ambrosie glänzen die Blätter auf der Oberseite. Im Detail betrachtet weicht der Blattschnitt ab. Ambrosia Beim Zerreiben riechen die Blütter der Hundspetersilie entfernt nach Knoblauch. Die Frucht ist eine zweiteilige Spaltfrucht; die schmalen Körner sind etwa vier Millimeter lang und gerippt.
|
 |
|
|
|
|
 |
Die Phacelia (Phacelia tanacetifolia), auch Büschelschön, Bienenfreund, oder Bienenweide genannt, gehört zur Unterfamilie der Wasserblattgewächse (Hydrophylloideae) in der Familie der Rauhblattgewächse (Boraginaceae). Ihre Blätter ähneln denen der Beifuß-Ambrosie, insbesondere vor dem Erscheinen der Blüten. Bei erscheinen der Blüten ist aber ein Verwechselung kaum mehr möglich. Die Stängel sind hohl (bei Ambrosia gefüllt).
|
 |
|
|
|
|
 |
Die Blätter der Phacelie (Phacelia tanacetifolia), weichen in ihrem Blattschnitt von denen der Beifuß-Ambrosie ab. Ambrosia
|
 |
|
|
|
|
 |
Die wie die Beifuß-Ambrosie zur Familie der Korbblütler zählende Goldrute (Solidago canadensis / gigantea) ist anhand ihrer auffälligen Blütenblätter deutlich von der Beifuß-Ambrosie zu unterscheiden. Die Verwechselungen gehen vermutlich auf die gelbe Farbe der Pollensäcke blühende Ambrosia-Pflanzen zurück. Die ungeteilten Blätter sind ebenfalls ein gutes Unterscheidungsmerkmal.
|
 |
|
|
|
|
 |
Die Blätter des zu den Storchschnabelgewächsen zählenden Stinkenden Storchschnabels (Geranium robertianum) haben eine gewisse Ähnlichkeit mit denen der Beifuß-Ambrosie. Allerdings weicht der Blattschnitt bei näherer Betrachtung deutlich ab. Ein eindeutiges Merkmal zur Abgrenzung sind die mit rosa Blütenblätter ausgestatteten Blüten.
|
 |
|
|
|
|
 |
Die Blätter des wie die Beifuß-Ambrosie zur Familie der Korbblütler zählende Rainfarns (Tanacetum vulgare) haben eine gewisse Ähnlichkeit mit denen der Beifuß-Ambrosie. Allerdings weicht der Blattschnitt bei näherer Betrachtung deutlich ab. Es handelt sich um mehrjährige krautige Pflanzen. Die Beifuß-Ambrosie ist einjährig. Zur Blütezeit von Juni bis September trägt die Pflanze leuchtendgelbe, knopfförmige Körbchenblütenstände in Doldenrispen.
|
 |
|
|
|
|
 |
Die Blätter des Rainfarns (Tanacetum vulgare) duften aufgrund ätherische Öle (Kampfer, Borneol, Thujon) stark.
|
 |
|
|
|
|
 |
Der zur gleichen Familie der Korbblütler zählende Einjährige Beifuß (Artemisia annua) wird bis 1,50 m groß und hat 2 bis 3-fach gefiederte Blätter. Wie bei der Beifuß-Ambrosie sind die Blütenköpfe nickend. Die Gestalt der Blütenköpfe ist allerdings anders. Die Pflanze hat einen sehr intensiven aromatischen Geruch. Die Art kommt bislang nur in wenigen Regionen Deutschlands vor.
|
 |
|
|
Druckbare Version
|
|